Forslaget er i 8-ugers offentlig høring fra uge 44 til uge 52 2025.
1. Indledning
I forbindelse med udarbejdelsen af Lokalplan nr. 1342, Boligområde ved Boulevarden 74, Vejle, udarbejdes dette tillæg 11 til Vejle Kommunes Spildevandsplan 2020-2028, for at bestemme kloakeringen af lokalplanområdet. Området er beliggende nord for Bredstenvej, og vest for Boulevarden. Placeringen kan ses på kortmaterialet herunder.
Figur 1: Illustrationen herover viser afgrænsningen af lokalplanområdet.
2. Nyt kloakopland
Boligområde ved Boulevarden, Vejle
Området er omfattet af lokalplan 1342 ble vedtaget af Vejle Kommune i 2024. Lokalplanen giver mulighed for opførsel af etageboliger. Lokalplanområdet dækker ca. 1,95 ha og er i kommuneplanen udlagt til boligområde.
Status og plan
Status: Området er delvist udlagt til spildevandskloakeret. Områdets nuværende anvendelse er parkeringsplads og boldbane.
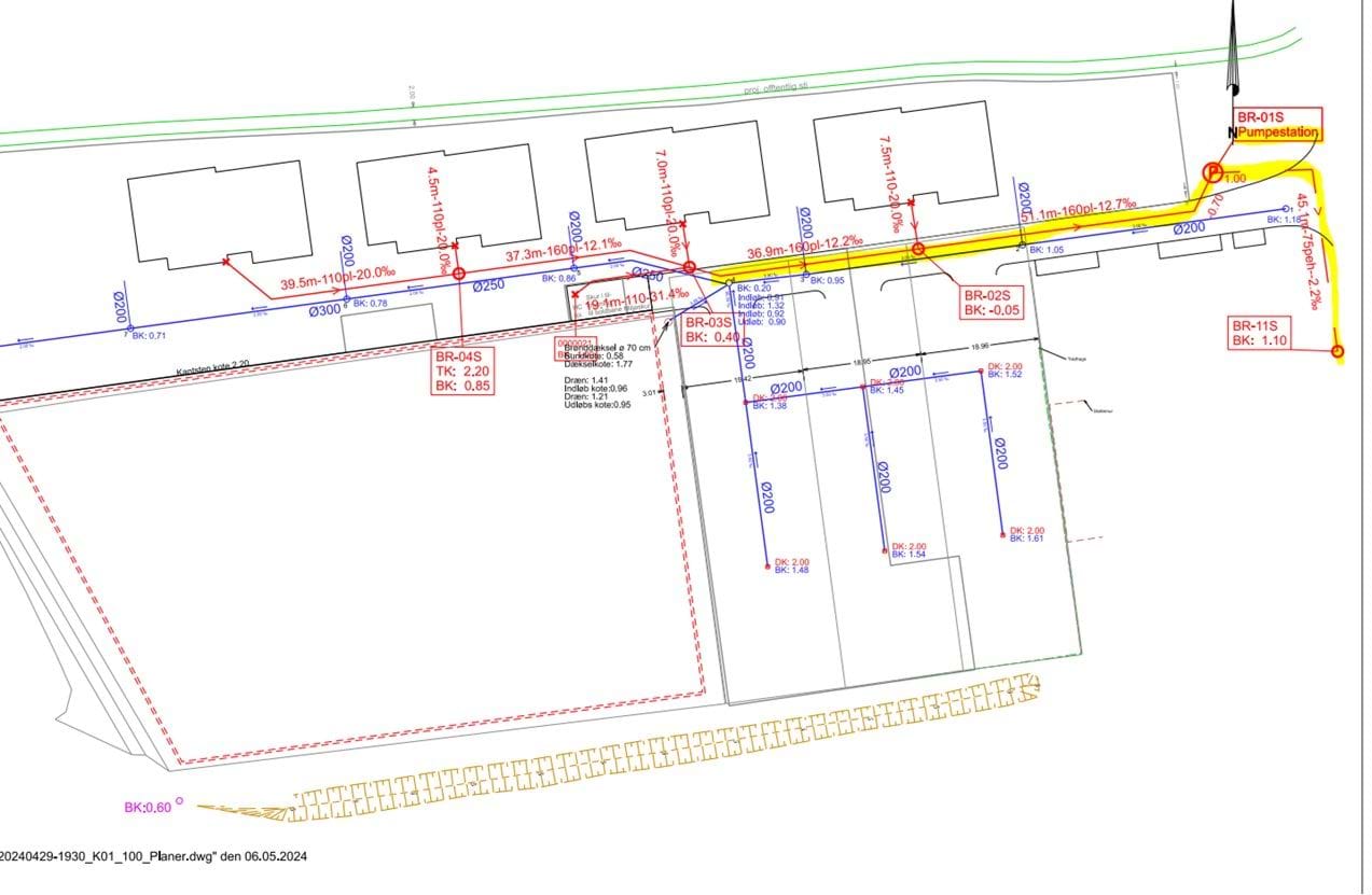
Plan: Området spildevandskloakeres delvist (Spildevand ledes til Vejle Spildevand A/S spildevandsledning og tag- og overfladevand håndteres lokalt), og afgrænsningen af det spildevandskloakerede område fremgår af figur 2.. Vejle Spildevand A/S bekoster at føre stikledning til spildevand frem til hver enkelt grund. Grundet faldforholdene i lokalplanområdet, er det nødvendigt at Vejle Spildevand A/S etablerer en pumpestation til spildevand. Bygherre bekoster at etablere de nødvendige ledninger på hver enkelt grund, samt ledninger og anlæg til håndtering af tag- og overfladevand. Placeringen af forsyningens ledninger kan ses på figur 3 herunder:
Figur 2: Viser områdets opdeling af kloakoplande. Boligområdet (Delområde 1) spildevandskloakeres, mens de resterende delområder, Sportspladsen (Delområde 3) og parkerings- og vejarealet (Delområde 2) kloakeres ikke.
Figur 3: Viser placeringen af de planlagte ledninger i lokalplanområdet. Den gule markering illustrerer forsyningens ledninger og pumpestation, mens de resterende ledninger er private.
Berørte matrikler uden for lokalplanområdet:
Nærværende tillæg omhandler udelukkende lokalplanområde 1342, illustreret i figur 1, og berører hermed ikke andre matrikler.
Miljøbelastning
Området delvist spildevandskloakeres. Tag- og overfladevand håndteres lokalt ved nedsivning og bidrager derfor ikke til overløb i forsyningens system. Det vurderes, at der er tilstrækkelig kapacitet på Vejle Spildevand A/S ledninger til at håndtere spildevandet fra udstykningen.
3. Miljøvurdering
Ifølge Lov om miljøvurdering af planer og programmer (LBK nr. 4 af 03. januar 2023) § 8 stk. 2 skal myndigheden gennemføre en vurdering af, om planer og programmer kan få væsentlig indvirkning på miljøet, når disse er omfattet af § 8 stk. 1
Dette tillæg til spildevandsplanen er omfattet af § 8 stk. 3, da plantillægget kun fastlægger kloakforholdene for mindre områder på lokalt plan set i forhold til Vejle Kommunes samlede kloakopland, og er således en mindre ændring i forhold til Vejle Kommunes Spildevandsplan 2020 - 2028.
Kommunen vurderer at tillæg nr. 11 til Vejle Kommunes spildevandsplan ikke er omfattet af kravet om miljøvurdering, da miljøscreeningen af dette tillæg har vist, at der ikke er sandsynlighed for væsentlige miljøpåvirkninger som følge af tillægget. Tillægget udgør en mindre ændring af den eksisterende miljøvurderede spildevandsplan.
4. Økonomiske forhold
Vejle Spildevand A/S etablerer de nødvendige spildevandsledninger frem til grundgrænsen. Der opkræves tilslutningsbidrag vedrørende spildevand i henhold til Vejle Spildevand A/S gældende betalingsvedtægt.
5. Behandling og vedtagelse
Forventet tidsplan fremgår af nedenstående tabel.
|
Handling |
Dato |
|
Høringsperiode |
uge 44 - 52 |
|
Behandling i Teknisk Udvalg |
03.02.2026 |
|
Behandling i Økonomiudvalget |
16.02.2026 |
|
Behandling i Byrådet |
25.02.2026 |
Spildevandsplantillægget forventes endeligt vedtaget d. januar/februar, 2026.
6. Lovgivning
Nærværende tillæg til spildevandsplanen er udarbejdet efter:
- § 32 i lov om nr. lovbek. nr. 1093 af 11. oktober 2024 (Miljøbeskyttelsesloven)
- § 5 – 9 i bekendtgørelsen nr. 866 af 20. juni 2025 om spildevandstilladelser m.v. efter Miljøbeskyttelseslovens kapitel 3 og 4 (Spildevandsbekendtgørelsen).
7. Klagevejledning
Kommunalbestyrelsens vedtagelse af en spildevandsplan kan ikke påklages til anden administrativ myndighed jf. § 32 stk. 3 i Miljøbeskyttelsesloven (LBK nr. 1093 af 11. oktober 2024).
Søgsmål til prøvelse af afgørelsen, skal være anlagt ved domstol inden 6 måneder efter, at afgørelsen er meddelt jf. § 101 I Miljøbeskyttelsesloven.


